Ants are among the most common pests in homes in Southwest Michigan. Many people first notice ants on countertops or near pet food bowls, but this can signal a larger ant problem nearby and the need for professional ant control in Kalamazoo.
When ants find food or moisture indoors, they create trails that lead the rest of the ant colony inside. Knowing how ants get into homes in Kalamazoo helps homeowners and businesses prevent infestations.
Local ant species such as odorous house ants, pavement ants, and carpenter ants can exploit very small entry points. They move through wall voids, basements, and kitchens in search of food and water.
Key Takeaways
- Ants enter homes through tiny cracks, foundation gaps, and openings around utility lines.
- Common Kalamazoo ant species include pavement ants, odorous house ants, and carpenter ants.
- Indoor food sources such as crumbs, pet food, and spills quickly attract ants.
- Professional pest control and sealing entry points help stop repeat ant invasions.
How Ants Get Into Kalamazoo Homes
Ants typically enter indoors while searching for food, water, or shelter. In most cases, worker ants find a path inside and return to the ant colony to bring more foragers.
Tiny Cracks in Foundations and Siding
Many types of ants can enter through very small openings. Pavement ants and black ants travel through cracks in concrete foundations or gaps along siding.
In older Kalamazoo homes, these crevices form as concrete shifts or settles. Worker ants use these openings to reach basements or wall voids, where they stay hidden while looking for food.
Utility Lines and Pipe Openings
Utility lines create another easy path indoors. Electrical wires, cable lines, and plumbing pipes often leave small gaps where they enter the home.
Ants use these openings to access wall voids and other protected areas. They travel through interior spaces until they find food sources in kitchens, break rooms, or storage areas.
Window Frames and Door Gaps
Loose seals around window frames and doors are another common entry point. Even small gaps in weather stripping let ants in.
Homes near wooded areas around Kalamazoo may see more ant activity during warmer months. As outdoor activity increases, worker ants expand their search for food into nearby structures.
The Most Common Entry Points to Check
If you notice ant activity indoors, certain areas are more likely to contain entry points. Pest control professionals check these areas first when inspecting an ant infestation.
Foundation Crevices and Expansion Joints
Cracks in foundations or expansion joints give ants direct access from outdoor nests into a structure.
Pavement ants commonly build ant nests beneath sidewalks, patios, or driveways. From there, they enter through foundation crevices and move toward basements or crawl spaces. Applying caulk to these cracks can help block future entry and reduce ant invasions.
Gaps Around Utility Penetrations
Openings around pipes, cable lines, and electrical conduits are another common entry point for ants.
These gaps often connect directly to wall voids, allowing ants to travel unseen through the structure. Sealing these openings with caulk or other materials helps limit access. Blocking these areas also prevents other pests, such as termites and wasps, from entering.
Basement Access Points
Basements attract ants because they provide shelter and moisture. In Kalamazoo homes, ants frequently appear near floor drains, sump pumps, or basement windows.
These areas connect to wall voids, making them ideal routes for worker ants looking for food. Regular inspection of basement entry points helps identify early signs of an ant problem.
What Attracts Ants Once They’re Inside
Entry points explain how ants get inside, but indoor conditions determine if they stay.
Food Residue on Countertops
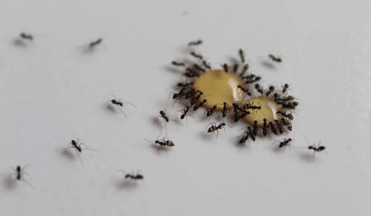
Crumbs, spills, and sticky residue on countertops attract ants. Odorous house ants, pavement ants, and fire ants actively seek out sugary foods.
Once a worker ant finds a food source, it leaves a pheromone trail leading back to the ant colony. Other worker ants follow this trail, forming visible ant trails across floors or countertops.
Regularly cleaning surfaces helps reduce these attractants.
Pet Food and Pantry Storage
Pet food is another common attractant. Leaving it out overnight gives foraging ants an easy meal.
Storing pantry items in airtight containers or sealed containers helps protect food from contamination and prevents ants from detecting odors.
These storage practices are especially helpful in homes dealing with recurring ant activity.
Moisture Sources
Water attracts ants as much as food. Leaky faucets, condensation around pipes, or damp basements provide essential moisture for many ant species in Michigan.
Carpenter ants seek out damp areas with rotting wood. Homes with moisture problems may also attract termites or other pests.
Fixing plumbing leaks and improving ventilation reduces conditions that attract ants indoors.
How to Block Repeat Ant Entry
Stopping ants takes more than removing the ones you see. Effective ant control focuses on eliminating the colony’s access points and reducing conditions that attract ants.
Seal Structural Openings
Sealing cracks and crevices is one of the best ways to prevent ants from entering. Applying caulk along foundations, siding seams, and window frames blocks common entry routes.
Closing these gaps also reduces access to wall voids where ants often travel unnoticed.
Remove Indoor Attractants
Keeping kitchens clean plays a major role in prevention. Regularly wipe down countertops, sweep floors, and clean up food spills quickly.
Store food in sealed containers and avoid leaving pet food out overnight. These steps make it harder for worker ants to locate food sources inside the home.
Target the Ant Colony
DIY options like ant bait or repellents may reduce visible ant activity, but results vary. They may not be able to remove the entire ant colony, especially in larger or hidden infestations.
Professional pest control focuses on identifying the ant species and locating ant nests. By identifying the species and nest location, technicians can target the colony directly instead of only treating surface ant activity.
Schedule an Ant Inspection Around Kalamazoo
If you continue to see ants indoors despite cleaning and sealing entry points, the issue may involve hidden ant nests or colonies inside wall voids.
At Pest Pros of Michigan, our professional pest control service includes inspecting the property, identifying ant activity, and applying targeted treatments based on the situation. This process targets the source of the ant problem, not just the ants you see.
For property owners and businesses in the Kalamazoo area, working with a local pest control company can help manage and reduce persistent ant infestations.
If you’re dealing with ant activity in your home or business, contact us to schedule an inspection. Our team provides ant control services designed to address active infestations and help prevent future activity.
FAQs
Why do ants suddenly appear in my house?
Ants appear suddenly when worker ants find food or moisture indoors. Once worker ants find a food source, they leave a pheromone trail that leads other ants from the colony to it.
Are carpenter ants the same as termites?
No. Carpenter ants and termites both damage wood, but carpenter ants tunnel through wood to create nests while termites consume wood as food.
Can DIY ant control eliminate an ant infestation?
DIY solutions like ant bait may temporarily reduce the number of visible ants, but effectiveness varies. However, large colonies or hidden ant nests may require professional pest control service for more complete control.
